Sold

Listing Number: NN22926

Residential Development Opportunity In Takaka

Takaka, 0 Rototai Road

Price by Negotiation

Description

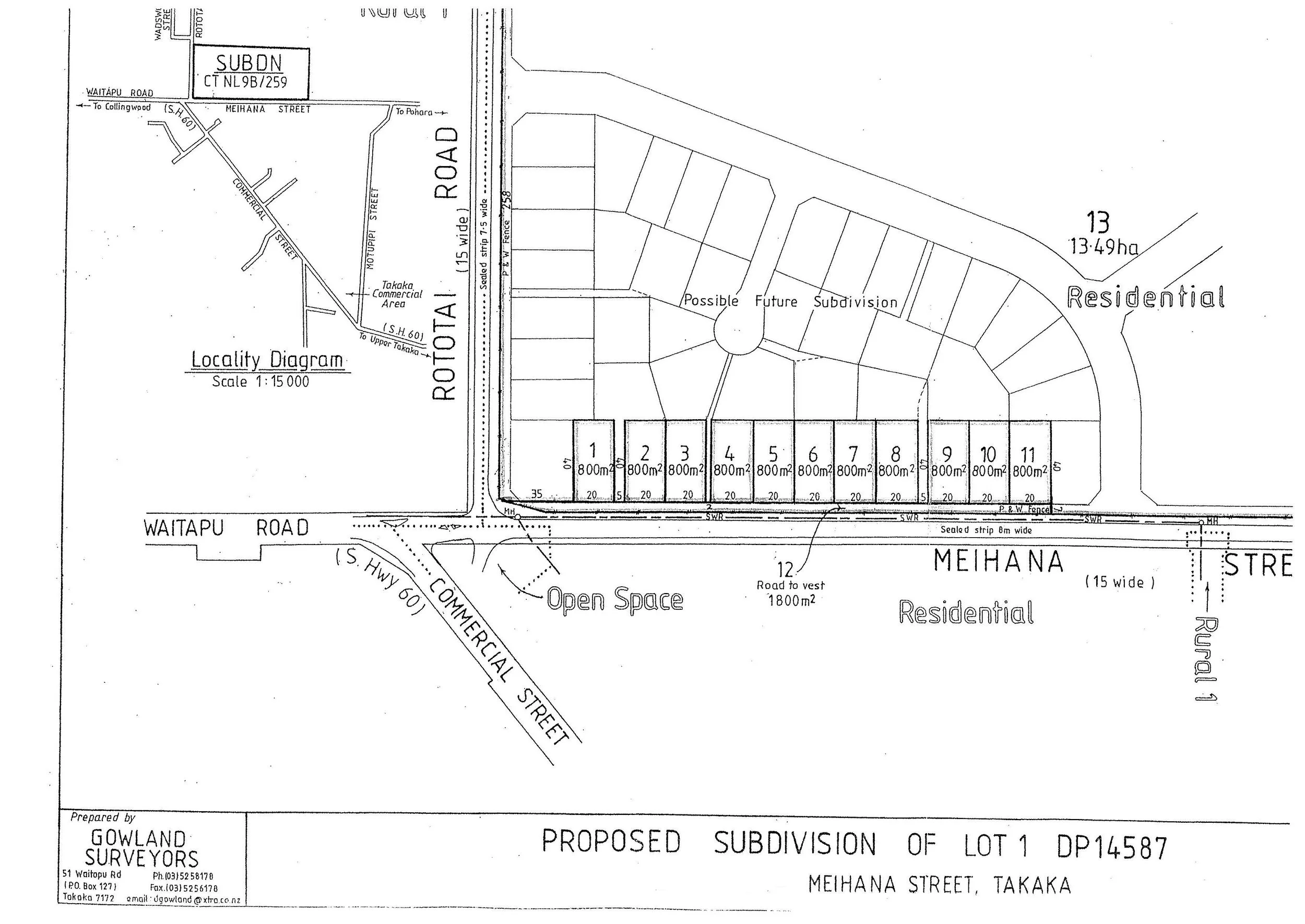
On the edge of the Takaka township is this exciting opportunity for a property developer ......... 14 ha of flat, prime land that is zoned for residential development. A resource consent for the subdivision of 11 residential sections is in place and there is potential for more in the future. Or maybe just a 'land bank' until you feel the time is right.

The Golden Bay area is becoming very popular, but the availability of residential sections is very limited especially so close to schools and shops and all the other amenities that Takaka has to offer.

To find out more about this unique prospect please contact Sharyn 021 377930 or sharyn.miller@harcourts.co.nz

Property Information

Land area: Hayable Hectares: 14.5500

Location & services: Nearest Town: Takaka, Location / District: Takaka / Golden Bay, Schooling Primary: Takaka, Bus Primary (Yes), Schooling Secondary: Opposite

Tenure: Freehold: Freehold

Property Type: Grazing

Fencing: Fencing - Type & Condition: Conventional - into 14 paddocks

Land contour: Flat (ha: 14.55)

Present Condition: Excellent

Weeds / pests: Under Control

Water supply: Bore

Access & tracks: No Problem

Stockyards: Yes

Land Usage: Dairy Grazing - Approved for residential subdivision

Sheds: Main Shedding: N/A

Listing Number: NN22926

Residential Development Opportunity In Takaka

Takaka, 0 Rototai Road

Price by Negotiation